Cephalallus

Subfamily

Spondylidinae

Diagnosis - adult

Body length: 13–23 mm. 
Eyes: eye interommatidial setaeseta:
a sclerotized hair-like projection of the cuticle
present, eye entire/shallowly emarginateemarginate:
notched at the margin
, eye ommatidial density coarse. 
Antennaeantenna:
in larval and adult insects, paired segmented appendages, borne one on each side of the head, functioning as sense organs and bearing a large number of sensilla
: antennal length reaches between basebase:
the part of any appendage or structure that is nearest the body
and end of elytraelytron:
the leathery forewing of beetles, serving as a covering for the hind wings, commonly meeting opposite elytron in a straight line down the middle of the dorsum in repose
or reaching/surpassing end of body, antennal flagellar segments elongateelongate:
much longer than wide
, scapescape:
the first proximal segment of the antenna
smooth/punctate at apexapex:
end of any structure distad to the base
, antennal segment 3 > scapescape:
the first proximal segment of the antenna

Pronotumpronotum:
the upper and dorsal part of the prothorax
: pronotumpronotum:
the upper and dorsal part of the prothorax
shape subquadratesubquadrate:
 not quite a square
, pronotumpronotum:
the upper and dorsal part of the prothorax
lateral armature absent. 
Prosternum: prosternal processprosternal process:
a posterior extension of the prosternum between the coxae
not dilated at apexapex:
end of any structure distad to the base
, procoxal cavities open posteriorly. 
Elytraelytron:
the leathery forewing of beetles, serving as a covering for the hind wings, commonly meeting opposite elytron in a straight line down the middle of the dorsum in repose
: elytral length reaching or close to end of abdomen, elytral apicesapex:
end of any structure distad to the base
 with tooth or spinespine:
a protuberance with an acute (sharp) distal end
, elytral color black or brown, elytral color pattern absent. 
Legs: visible tarsomerestarsomere:
subdivision or article of the tarsus, usually numbering from two to five
: 4, femora slender, protibial spursprotibial spur:
sclerotized spine(s) located at the distal tibia; can be single, double, or absent
: 1, tarsal clawstarsal claw:
usually paired claws of the pretarsus, at the distal end of the leg
simple.

The labrumlabrum:
the upper lip, abutting the clypeus in front of the mouth
is small and has a pencil of hairs near the front as in Criocephalus ferus. Mandibles extremely short, each with a single, strong tooth in the middle. Palpi very short, the terminal joint only slightly, but still distinctly, dilated at the tip. Ligula extending on each side as far as the middle of first joint of labial palpus. Eyes convex, extending on to the under-surface of the head, but widely separated there as in Criocephalus rusticus. Prosternum margined in front; behind the margin extending obliquely downwards; only very slightly separating the front coxae. Metasternum elongateelongate:
much longer than wide
, terminal segment of the female less elongateelongate:
much longer than wide
than in Criocephalus. Hind femora hairy behind: but not densely so (Sharp 1905Sharp 1905:
Sharp D. 1905. The genus Criocephalus. The Transactions of the Entomological Society of London [1905]: 145–164, 15 figs, pl. IX. http://www.biodiversitylibrary.org/item/51242
).

Similar genera

Arhopalus

Differential diagnosis

In this genus the eyes reach under the head but are widely separated and the pronotumpronotum:
the upper and dorsal part of the prothorax
has a single impression in the middle of the disc. Arhopalus species usually have two impressions.

Distribution

Palearctic: China, India, Taiwan, Japan, Mongolia, Korea, Myanmar

Recorded host plants

Pinus, Larix

Remarks

2 spp. Both conifer feeders. Molecular evidence points to this taxon deserving genus status.

Taxonomy

Cephalallus Sharp, 1905Sharp, 1905:
Sharp D. 1905. The genus Criocephalus. The Transactions of the Entomological Society of London [1905]: 145–164, 15 figs, pl. IX. http://www.biodiversitylibrary.org/item/51242

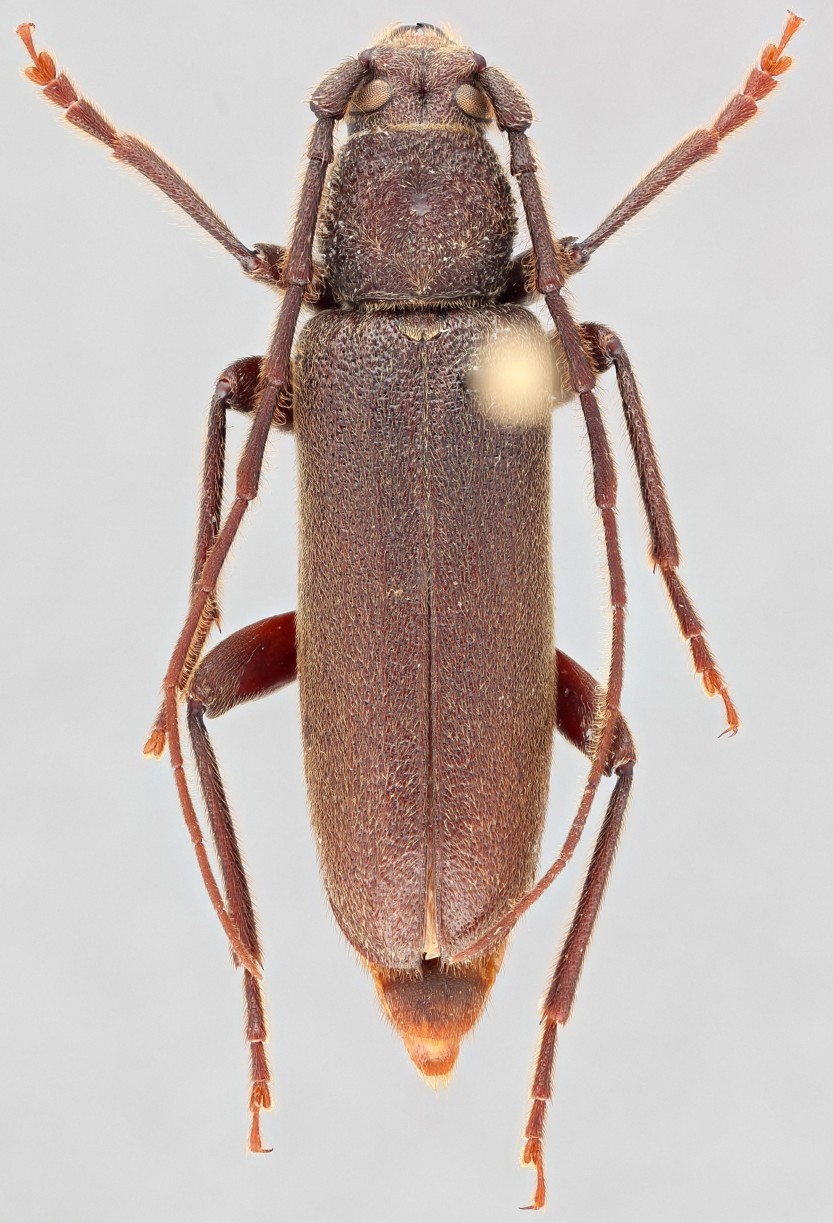
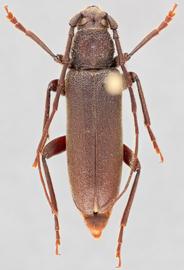
  Cephalallus unicolor nbsp;dorsal

Cephalallus unicolor dorsal

  Cephalallus unicolor nbsp;ventral

Cephalallus unicolor ventral

  Cephalallus unicolor nbsp;frontal

Cephalallus unicolor frontal

  Cephalallus unicolor nbsp;lateral

Cephalallus unicolor lateral