Axinopalpis

Subfamily

Cerambycinae

Diagnosis - adult

Body length: 5–12 mm.
Eyes: eye interommatidial setaeseta:
a sclerotized hair-like projection of the cuticle
absent, eye entire/shallowly emarginateemarginate:
notched at the margin
, eye ommatidial density coarse.
Antennaeantenna:
in larval and adult insects, paired segmented appendages, borne one on each side of the head, functioning as sense organs and bearing a large number of sensilla
: antennal length reaches between basebase:
the part of any appendage or structure that is nearest the body
and end of elytraelytron:
the leathery forewing of beetles, serving as a covering for the hind wings, commonly meeting opposite elytron in a straight line down the middle of the dorsum in repose
or reaching/surpassing end of body, antennal flagellar segments elongateelongate:
much longer than wide
, scapescape:
the first proximal segment of the antenna
smooth/punctate at apexapex:
end of any structure distad to the base
, antennal segment 3 > scapescape:
the first proximal segment of the antenna
.
Pronotumpronotum:
the upper and dorsal part of the prothorax
: pronotumpronotum:
the upper and dorsal part of the prothorax
shape subquadratesubquadrate:
 not quite a square
or longer than wide, pronotumpronotum:
the upper and dorsal part of the prothorax
lateral armature blunt tubercule.
Prosternum: prosternal processprosternal process:
a posterior extension of the prosternum between the coxae
dilated at apexapex:
end of any structure distad to the base
, procoxal cavities open posteriorly.
Elytraelytron:
the leathery forewing of beetles, serving as a covering for the hind wings, commonly meeting opposite elytron in a straight line down the middle of the dorsum in repose
: elytral length reaching or close to end of abdomen, elytral apicesapex:
end of any structure distad to the base
rounded or truncatetruncate:
cut off squarely at the tip
, elytral color brown, reddish or orange, elytral color pattern absent.
Legs: visible tarsomerestarsomere:
subdivision or article of the tarsus, usually numbering from two to five
: 4, femora clavateclavate:
thickening gradually toward the tip
, protibial spursprotibial spur:
sclerotized spine(s) located at the distal tibia; can be single, double, or absent
: 2, tarsal clawstarsal claw:
usually paired claws of the pretarsus, at the distal end of the leg
simple.

Similar genera

Lucasianus

Differential diagnosis

The conspicuously enlarged final maxillary palpmaxillary palp:
an extension of the maxilla, in an anterior position within the mouth parts
segment is special for this genus. The eyes in Lucasianus are emarginateemarginate:
notched at the margin
by at least half the width while Axinopalpis are almost complete.

Distribution

Palearctic: Europe, Asia Minor, Caucasus, northern Iran

Recorded host plants

broadleaf; Cedrus, Abies cephalonica

Remarks

3 species, 2 additional subspecies. A. barbarae and A. gracilis known from conifers.

Synonyms

Axinuchus Gemminger and Harold, 1872

Taxonomy

Axinopalpis Dejean, 1835

  Axinopalpis gracilis  dorsal

Axinopalpis gracilis dorsal

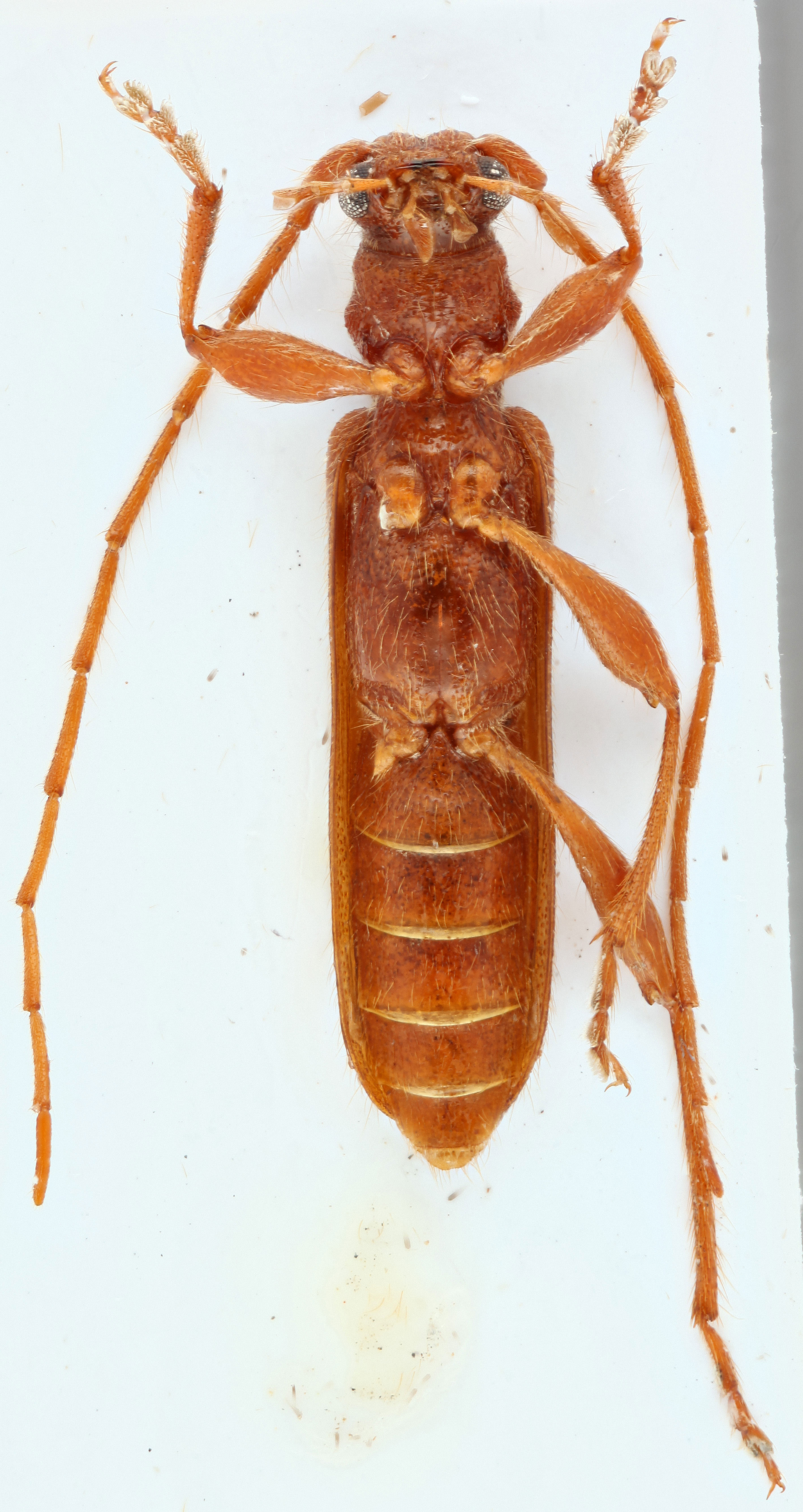
  Axinopalpis gracilis nbsp;ventral

Axinopalpis gracilis ventral

  Axinopalpis gracilis nbsp;frontal

Axinopalpis gracilis frontal

  Axinopalpis gracilis nbsp;lateral

Axinopalpis gracilis lateral