Atimia

Subfamily

Spondylidinae

Diagnosis - adult

Body length: 5–14 mm.
Eyes: eye interommatidial setaeseta:
a sclerotized hair-like projection of the cuticle
absent, eye divided-max one row of facets between, eye ommatidial density coarse. 
Antennaeantenna:
in larval and adult insects, paired segmented appendages, borne one on each side of the head, functioning as sense organs and bearing a large number of sensilla
: antennal length reaches between basebase:
the part of any appendage or structure that is nearest the body
and end of elytraelytron:
the leathery forewing of beetles, serving as a covering for the hind wings, commonly meeting opposite elytron in a straight line down the middle of the dorsum in repose
, antennal flagellar segments elongateelongate:
much longer than wide
, scapescape:
the first proximal segment of the antenna
smooth/punctate at apexapex:
end of any structure distad to the base
, antennal scapescape:
the first proximal segment of the antenna
≥ segment 3. 
Pronotumpronotum:
the upper and dorsal part of the prothorax
: pronotumpronotum:
the upper and dorsal part of the prothorax
shape transversetransverse:
broader than long
, pronotumpronotum:
the upper and dorsal part of the prothorax
lateral armature absent or blunt tubercule. 
Prosternum: prosternal processprosternal process:
a posterior extension of the prosternum between the coxae
dilated at apexapex:
end of any structure distad to the base
, procoxal cavities closed posteriorly. 
Elytraelytron:
the leathery forewing of beetles, serving as a covering for the hind wings, commonly meeting opposite elytron in a straight line down the middle of the dorsum in repose
: elytral length reaching or close to end of abdomen, elytral apicesapex:
end of any structure distad to the base
rounded or truncatetruncate:
cut off squarely at the tip
, emarginateemarginate:
notched at the margin
or with tooth or spinespine:
a protuberance with an acute (sharp) distal end
, elytral color pattern present. 
Legs: visible tarsomerestarsomere:
subdivision or article of the tarsus, usually numbering from two to five
: 4, femora clavateclavate:
thickening gradually toward the tip
, protibial spursprotibial spur:
sclerotized spine(s) located at the distal tibia; can be single, double, or absent
: 2, tarsal clawstarsal claw:
usually paired claws of the pretarsus, at the distal end of the leg
simple.

Form elongateelongate:
much longer than wide
oval, moderately convex; vestiture coarse, appressed, with intermixture of long, erect setaeseta:
a sclerotized hair-like projection of the cuticle
on dorsal surface, elytraelytron:
the leathery forewing of beetles, serving as a covering for the hind wings, commonly meeting opposite elytron in a straight line down the middle of the dorsum in repose
, usually the pronotumpronotum:
the upper and dorsal part of the prothorax
and abdominal sternites, with a pattern of denuded areas. Head short, broad; eyes very deeply emarginateemarginate:
notched at the margin
, nearly divided, dorsal and ventral lobes connected by double row of facets; antennal scapescape:
the first proximal segment of the antenna
subconical, rarely subcylindrical. Pronotumpronotum:
the upper and dorsal part of the prothorax
distinctly wider than long, sides obtuse or nearly straight, usually with distinct subapical angle, never evenly rounded from basebase:
the part of any appendage or structure that is nearest the body
to apexapex:
end of any structure distad to the base
; anterior coxae widely separated by prosternum, intercoxal process at least 1/2 as broad as coxae, cavities rounded or feebly angulate externally. Elytraelytron:
the leathery forewing of beetles, serving as a covering for the hind wings, commonly meeting opposite elytron in a straight line down the middle of the dorsum in repose
about twice as long as basal width, broad at basebase:
the part of any appendage or structure that is nearest the body
, tapering apically; disk with feeble costa 1/3 of the distance between suturesuture:
groove marking the line of fusion of two formerly distinct plates; the line of junction of elytra
and lateral margin, costa most evident at apical 1/3; apicesapex:
end of any structure distad to the base
emarginate or truncatetruncate:
cut off squarely at the tip
, rarely separately rounded. Abdomen of female with fifth tergite wider than long, gradually narrowed from basebase:
the part of any appendage or structure that is nearest the body
, apexapex:
end of any structure distad to the base
not more than half as wide as basebase:
the part of any appendage or structure that is nearest the body
, emarginateemarginate:
notched at the margin
or truncatetruncate:
cut off squarely at the tip
, fifth sternite barely longer than fourth, rounded or subtruncatesubtruncate:
not quite cut off squarely at the tip
at apexapex:
end of any structure distad to the base
 (Chemsak 1996Chemsak 1996:
Chemsak JA. 1996. Illustrated Revision of the Cerambycidae of North America. Volume I. Parandrinae, Spondylidinae, Aseminae, Prioninae. Wolfsgarden Books. Burbank, California 1: i–x + 1–150, pls I–X. ISBN 1-885850-02-6
).

Similar genera

Paratimia

Differential diagnosis

Atimia can be distinguished from Paratimia by the denuded areas on the elytra/pronotum and the robust body.

Distribution

eastern Palearctic, Nearctic

Recorded host plants

Cupressaceae

Remarks

15 spp. (7 Old World + 8, another ssp. New World)

Synonyms

Myctus Semenov and Plavilstshikov, 1937

Taxonomy

Atimia Haldeman, 1847

  Atimia esakii  dorsal

Atimia esakii dorsal

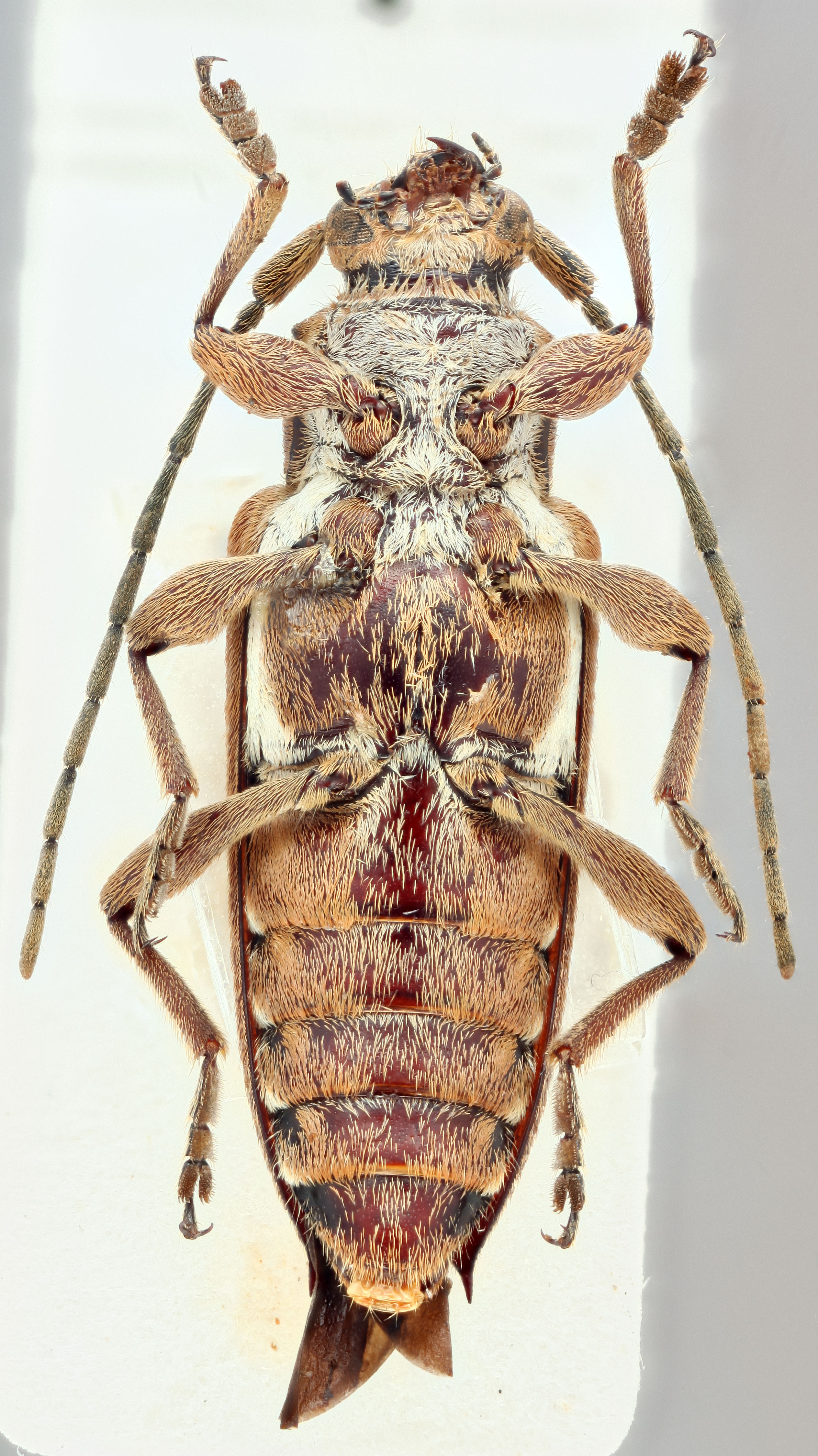
  Atimia esakii nbsp;ventral

Atimia esakii ventral

  Atimia esakiinbsp; frontal

Atimia esakii frontal

  Atimia esakiinbsp; lateral

Atimia esakii lateral