Astylopsis

Subfamily

Lamiinae

Diagnosis - adult

Body length: 6–13 mm.
Eyes: eye interommatidial setaeseta:
a sclerotized hair-like projection of the cuticle
absent, eye deeply emarginateemarginate:
notched at the margin
> half width, eye ommatidial density fine.
Antennaeantenna:
in larval and adult insects, paired segmented appendages, borne one on each side of the head, functioning as sense organs and bearing a large number of sensilla
: antennal length reaching/surpassing end of body, antennal flagellar segments elongateelongate:
much longer than wide
, scapescape:
the first proximal segment of the antenna
smooth/punctate at apexapex:
end of any structure distad to the base
, antennal segment 3 > scapescape:
the first proximal segment of the antenna
.
Pronotumpronotum:
the upper and dorsal part of the prothorax
: pronotumpronotum:
the upper and dorsal part of the prothorax
shape transversetransverse:
broader than long
, pronotumpronotum:
the upper and dorsal part of the prothorax
lateral armature acute spinespine:
a protuberance with an acute (sharp) distal end
or blunt tubercule.
Prosternum: prosternal processprosternal process:
a posterior extension of the prosternum between the coxae
dilated at apexapex:
end of any structure distad to the base
, procoxal cavities closed posteriorly.
Elytraelytron:
the leathery forewing of beetles, serving as a covering for the hind wings, commonly meeting opposite elytron in a straight line down the middle of the dorsum in repose
: elytral length reaching or close to end of abdomen, elytral apicesapex:
end of any structure distad to the base
rounded or truncatetruncate:
cut off squarely at the tip
, rarely emarginateemarginate:
notched at the margin
, elytral color pattern present.
Legs: visible tarsomerestarsomere:
subdivision or article of the tarsus, usually numbering from two to five
: 4, femora clavateclavate:
thickening gradually toward the tip
, protibial spursprotibial spur:
sclerotized spine(s) located at the distal tibia; can be single, double, or absent
: 2, tarsal clawstarsal claw:
usually paired claws of the pretarsus, at the distal end of the leg
simple.

Form moderately small, subdepressed. Head with front slightly to moderately convex, about as long as broad; mandibles moderately arcuatearcuate:
arched or bow-like
; genaegena:
the part of the cranium on each side below the eye
slightly convergent, about as long as lower eye lobes; eyes moderate, deeply emarginateemarginate:
notched at the margin
, upper lobes small, widely separated above; antennal tubercles prominent, widely divergentdivergent:
spreading out from a common base
; antennaeantenna:
in larval and adult insects, paired segmented appendages, borne one on each side of the head, functioning as sense organs and bearing a large number of sensilla
slender, eleven-segmented, slightly longer than body in females, a little longer in males, first segment extending a little beyond middle of pronotumpronotum:
the upper and dorsal part of the prothorax
, third segment longer than first, fourth slightly shorter than third. Pronotom broader than long, sides acutely to obtusely tuberculate behind middle; disk with five obtuse calluses, median not larger than others, surface between calluses usually densely punctatepunctate:
set with fine, impressed points or punctures appearing as pin-pricks
; basebase:
the part of any appendage or structure that is nearest the body
and apexapex:
end of any structure distad to the base
broadly impressed transversely; prosternum with intercoxal process arcuatearcuate:
arched or bow-like
, one-third to half as broad as coxal cavities; mesosternummesosternum:
sternum of the mesothorax
with intercoxal process abruptly declivous anteriorly, about four-fifths as broad as coxal cavities, broadening anteriorly; metasternum rather short, episternumepisternum:
the aspect of a thoracic pleuron dorsal to the coxal cavity and anterior to the pleural suture
narrow. Elytraelytron:
the leathery forewing of beetles, serving as a covering for the hind wings, commonly meeting opposite elytron in a straight line down the middle of the dorsum in repose
about 1.7 to two times as long as broad, sides tapering at apical one-third; basal gibbosities shallow; disk costate, often with tufted tubercles; apicesapex:
end of any structure distad to the base
narrowing, rounded to obliquely truncatetruncate:
cut off squarely at the tip
. Legs with femora pedunculate; tibiaetibia:
the leg segment distal to the femur, proximal to the tarsus
slender; tarsitarsus:
the leg segment distal to the apex of the tibia, bearing the pretarsus; consists of one to five tarsomeres (including pretarsus)
slender, rather long, first segment shorter than or subequal to two following segments together, third segment cleft to basebase:
the part of any appendage or structure that is nearest the body
. Abdomen norm ally segmented, last sternite of females at least twice as long as fourth, narrowing apically (Linsley and Chemsak 1995Linsley and Chemsak 1995:
Linsley EG and Chemsak JA. 1995. The Cerambycidae of North America. Part VII, No. 2. Taxonomy and Classification of the Subfamily Lamiinae, Tribes Acanthocinini Through Hemilophini. University of California Press, Berkeley and Los Angeles. 292 pp.
).

Similar genera

Leptostylus, Pseudastylopsis

Differential diagnosis

The distinctly, usually densely punctatepunctate:
set with fine, impressed points or punctures appearing as pin-pricks
pronotum, the five moderate calluses of the pronotumpronotum:
the upper and dorsal part of the prothorax
, the relatively short antennaeantenna:
in larval and adult insects, paired segmented appendages, borne one on each side of the head, functioning as sense organs and bearing a large number of sensilla
, and broad mesosternal processmesosternal process:
a prolongation of the mesosternum extending between the mesocoxae
serve to distinguish this genus.

Distribution

eastern Nearctic

Recorded host plants

broadleaf; Pinus, Picea, Larix, Tsuga

Remarks

6 species

Synonyms

Amniscus Haldeman, 1847 (not Dejean, 1837)

Leptostylus Leng and Hamilton, 1896

Taxonomy

Astylopsis Casey, 1913

  Astylopsis sexguttata  dorsal

Astylopsis sexguttata dorsal

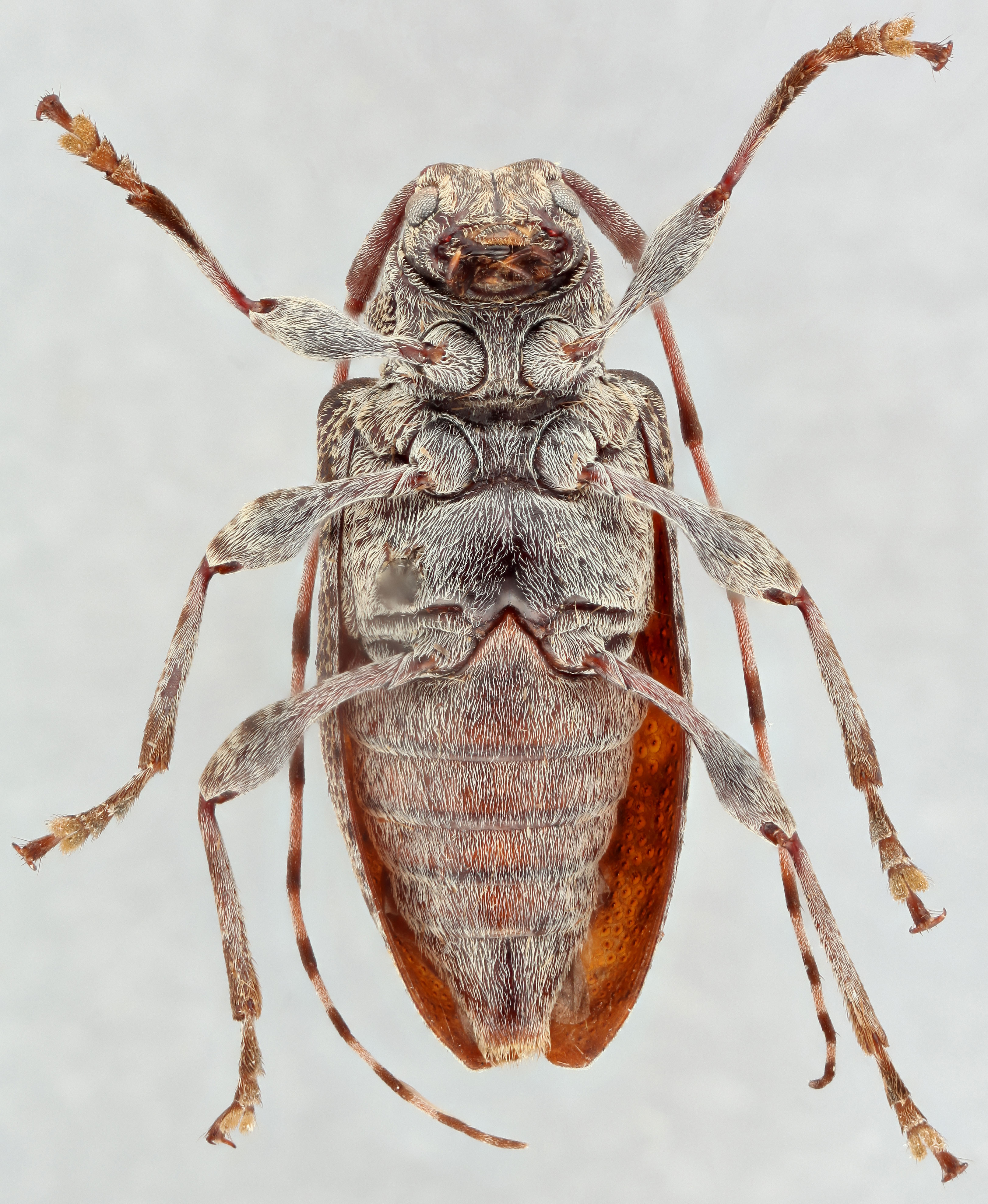
  Astylopsis sexguttatanbsp; ventral

Astylopsis sexguttata ventral

  Astylopsis sexguttata  frontal

Astylopsis sexguttata frontal

  Astylopsis sexguttatanbsp; lateral

Astylopsis sexguttata lateral

  Astylopsis arcuata  dorsal

Astylopsis arcuata dorsal

  Astylopsis arcuata  ventral

Astylopsis arcuata ventral

  Astylopsis arcuata  frontal

Astylopsis arcuata frontal

  Astylopsis arcuata  lateral

Astylopsis arcuata lateral

  Astylopsis collaris  dorsal

Astylopsis collaris dorsal

  Astylopsis collaris  ventral

Astylopsis collaris ventral

  Astylopsis collaris  frontal

Astylopsis collaris frontal

  Astylopsis collaris  lateral

Astylopsis collaris lateral

  Astylopsis macula  dorsal

Astylopsis macula dorsal

  Astylopsis macula nbsp;ventral

Astylopsis macula ventral

  Astylopsis maculanbsp; frontal

Astylopsis macula frontal

  Astylopsis macula nbsp;lateral

Astylopsis macula lateral